Veteriner Kliniğinde Şok Edici İhmaller Ve Yanıltıcı Yorumlar

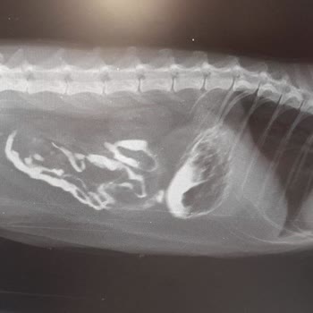
Öncelikle kesinlikle Google yorumlarına aldanıp çocuğunuzu emanet etmeyin. Kötü yorumları kaldırıyorlar, iyi yorumları da satın aldıklarını araştırınca anlarsınız. Benim kedimi yabancı madde çıkartacağız ameliyat edeceğiz diye alıp karnını kesip geri dikerek, ameliyat etmeyip, yabancı maddeyi almayı...















